209 000,00 PLN (168,01 PLN)

Pięknie położona działka- 200m2 od lasu-Zajączków

Działka (Budowlana) na sprzedaż,
Zajączków

Kontakt z agentem: Białe Lwy - Nieruchomości
Białe Lwy - Nieruchomości
Opis nieruchomości

• Lokalizacja:Oborniki Śląskie/Zajączków
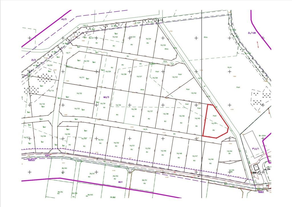
• Metraż: 16/41, 1244m2 oraz 16/42, 1320m2,
• Zabudowa: jednorodzinna, przeznaczenie działki zgodnie z MPZP - MN/U/1,
• Dodatkowe informacje: media (woda, prąd), posiadam na sprzedaż działkę znajdującą się po sąsiedzku 16/42 o metrażu 1320m2.

Zapraszam do zapoznania się z ofertą pięknie położonej działki budowlanej. Działka znajduje się w Zajączkowie, w sąsiedztwie jeziorka i lasów. Działka oddalona od głównej ulicy, po sąsiedzku kameralna i niska zabudowa.
Udział w drodze oraz dostęp do drogi gminnej. Przykładowa koncepcja projektu dołączona do zdjęć oferty.

W miejscowym planie zagospodarowania przestrzennego ( MN/U/1) przewidziane pod zabudowę jednorodzinną w układzie wolnostojącym oraz usługi wbudowane w części parterowej budynku mieszkalnego, nieuciążliwe w tym przeznaczenie czego budynku pod usługi.
Przeznaczenie uzupełniające:
- powierzchnia działki budowlanej nie może być mniejsza niż 1000 m2.
- zieleń urządzona,
- drogi wewnętrzne o szerokości min. 6m,
- urządzenia komunikacji i parkingi, sieci,
- urządzenia i obiekty infrastruktury technicznej,
- stanowiska do parkowania.

Wysokość budynków mieszkalnych nie może przekroczyć 14m, a budynków gospodarczych i garaży nie więcej niż 6m. Ustala się dachy dwu lub wielospadowe, symetryczne o nachyleniu połaci 20- 45, kryte dachówką lub materiałem dachówko podobnym w odcieniu brązu, szarości lub ceglastym matowym.Dopuszcza się dachy płaskie i jednospadowe o dowolnym pokryciu.

Powierzchnia zabudowy w stosunku do powierzchni działki nie może przekroczyć 40%.
Minimalny wskaźnik udziału powierzchni biologicznie czynnej wynosi 30%.
Wskaźnik intensywności zabudowy w granicach 0,01-1,2.

LOKALIZACJA: Działka położona w Zajączkowie, na północ od centrum Wrocławia (4km od granic, ok. 30 minut od centrum). Do najbliższego wjazdu na drogę ekspresową S8 około 9 km, dojazd do S5 około 10 km. Las zaledwie 200 metrów od działki. Cisza i spokój, miejsce idealne dla każdego uciekającego od zgiełku miasta.


Mapa
Kontakt z agentem

Białe Lwy - Nieruchomości

Białe Lwy - Nieruchomości
Nieprawidłowy adres E-mail

Strona korzysta z plików cookie w celu realizacji usług zgodnie z Polityką prywatności. Możesz określić warunki przechowywania lub dostępu do cookie w Twojej przeglądarce.